03-02-2026 20:44
Zetti MarioWhen I first saw this white mould on an Agaricus s
18-08-2025 15:07
Lothar Krieglsteiner
.. 20.7.25, in subarctic habital. The liverwort i
02-02-2026 21:46
Margot en Geert VullingsOn a barkless poplar branch, we found hairy discs
02-02-2026 14:55
Andgelo Mombert
Bonjour,Sur thalle de Lobaria pulmonaria.Conidiome
02-02-2026 14:33
Andgelo Mombert
Bonjour,Sur le thalle de Peltigera praetextata, ne
31-01-2026 10:22
Michel Hairaud
Bonjour, Cette hypocreale parasite en nombre les
02-02-2026 09:29
Bernard CLESSE
Bonjour à toutes et tous,Pour cette récolte de 2
01-02-2026 19:29
Nicolas Suberbielle
Bonjour, Marie-Rose D'Angelo (Société Mycologiq
31-01-2026 09:17
Marc Detollenaere
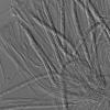
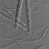
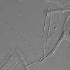
Dear Forum,On decorticated wood of Castanea,I foun
Coccomyces sp. on fallen Rhododendron leavesPretty Hollow Gap Trail, Great Smoky Mountains National Park, Haywood County, North Carolina, USA
https://www.inaturalist.org/observations/305874978
photo credits: Danny Newman
micrographs: Patrick Verdier
sequence forthcoming.
Collected during the 2025 Richard P. Korf Memorial North American Ascomycete Foray (aka "The Korf Foray), held at the Appalachian Highlands Science Learning Center in Purchase Knob, North Carolina.
















