31-03-2026 21:18
Miguel Ángel Ribes
Good evening. oes anyone have the original descrip
31-03-2026 20:57
Stefan BlaserHello everybody, I hope somebody can help me with
26-03-2026 15:31
Åke Widgren
Hello,I found this one in October last year, on r
31-03-2026 16:20
Mlcoch Patrik
Hello, Please about help with determination. On
31-03-2026 08:19
Bernard CLESSE
Bonjour à toutes et tous,Pourriez-vous m'aider à
30-03-2026 12:03
William Slosse
Hello all,On 27/03/26, in Kraaiveld in Wingene (Be
25-03-2026 10:35
Hulda Caroline HolteHello,I collected this species growing on a dead b
30-03-2026 09:53
Yanick BOULANGERBonjourVoici des petites fructifications poilues s
Melittosporiella octomera as I think
Lothar Krieglsteiner,
06-03-2023 21:28
... found in the Algarve, near Sao Bartolomeu Messines, in a semi-cultured dry shrub- and heathland on calcareous soil, on a lying log of likely Olea, 22.2.23Am I right?
Yours, Lothar
P.S. It seems the species is still undescribed?
Jason Karakehian,
06-03-2023 21:56
Re : Melittosporiella octomera as I think
This may be Ostropales, not Marthamycetales. Beautiful collection! If you have some to spare and want to send it to me I will culture and sequence it. We are working on a revision of Mellitiosporiella/Mellitiosporium and this would be a great thing to study
Hans-Otto Baral,
07-03-2023 09:33
Re : Melittosporiella octomera as I think
Hallo Lothar
although collected 2 weeks ago, I am surprized that all spores are now dead. maybe they were already when collected. Did you test several apos? Perhaps some are still alive. Otherwise culturing will be impossible.
The iodine reaction is with Lugol? Only the apical ring reacts? Or is there a hemiamyloid reaction too?
The yellow carotenoids are hardly visible macroscopically. Important would be to study the inner layer of the lobes (periphysoids), I assume they go down to the hymenial base.
Did you measure the spores? For others I must mention that Lothar's scale bar must be taken at the inner border of the end line, not the outer border.
You could have a look at the wood pores of they match Olea.
But I think you are right with your ID, this unpublished species I totally forgot. It was also on Olea, but in mediterranean Croatia. No further collection so far came to my notice, except one from Gomera on Laurus azorica which is uncertain.
Zotto
Lothar Krieglsteiner,
07-03-2023 09:47
Re : Melittosporiella octomera as I think
Hello Jason and Zotto,
I have material which is air-dried only. I have more fotos, and few with living spores, but unfortunately saved them as png-formate that I must first try to change.
The amyloid reaction is with Baral after using water, so no hemiamyloidity. I found only the ascus porus reacting.
I investigated after sampling and only rehydrating, it was looking very good fresh.
Later I prepared in KOH, additionllly, to see the septae better, what was quite successful.
What I forgot: the third picture is a stacked one made by my wife, Katharina, with the binocular.
The apothecia looked distinctly orange when opened, in fact.
The specimen is in a large bag of many specimens from 5 weeks Spain and Portugal now. When I take it out again (can take some days), I will try to look at the wood and do other things the or later.
Thanks again and best regards,
Lothar
I have material which is air-dried only. I have more fotos, and few with living spores, but unfortunately saved them as png-formate that I must first try to change.
The amyloid reaction is with Baral after using water, so no hemiamyloidity. I found only the ascus porus reacting.
I investigated after sampling and only rehydrating, it was looking very good fresh.
Later I prepared in KOH, additionllly, to see the septae better, what was quite successful.
What I forgot: the third picture is a stacked one made by my wife, Katharina, with the binocular.
The apothecia looked distinctly orange when opened, in fact.
The specimen is in a large bag of many specimens from 5 weeks Spain and Portugal now. When I take it out again (can take some days), I will try to look at the wood and do other things the or later.
Thanks again and best regards,
Lothar
Hans-Otto Baral,
07-03-2023 09:57
Re : Melittosporiella octomera as I think
Thanks! If you measured the dead or living spores please tell us the size.
Jason Karakehian,
07-03-2023 17:41
Re : Melittosporiella octomera as I think
Could this have been described as a Propolidium?
Rubén Negrín,
08-03-2023 22:33
Re : Melittosporiella octomera as I think
Hola a todos. Supongo que este es el mismo hongo que están comentando o muy similar. Recolectado en Laurus novocanariensis en La Gomera. Ya lo había visto en la base de datos de Baral. Las imágenes pertenecen a una recolecta de hace años. Es un hongo relativamente frecuente en La Gomera, no así en las demás islas de Canarias.
Saludos
Rubén Negrín
Saludos
Rubén Negrín
Jason Karakehian,
08-03-2023 23:17
Re : Melittosporiella octomera as I think
Rubén, esas son excelentes fotos. Si alguna vez coleccionas más de esto, ¿podrías recolectar algo para mí? Si es así, séquelo solo al aire, luego puedo cultivarlo y hacer observaciones del material vivo. Saludos cordiales, Jasón
Ruben, those are excellent photos. If you ever collect more of this, would you please collect some for me? If so please air-dry only, then I can culture it, and make observations from living material. Kind regards, Jason
Ruben, those are excellent photos. If you ever collect more of this, would you please collect some for me? If so please air-dry only, then I can culture it, and make observations from living material. Kind regards, Jason
Hans-Otto Baral,
09-03-2023 10:55
Re : Melittosporiella octomera as I think
Incredible! Could you please provide the collection date of this? Which other substrates did you notice? I assume you also saw the IKI-blue apical ring?
Lothar Krieglsteiner,
09-03-2023 11:15
Re : Melittosporiella octomera as I think
wow - another bright collection. I am looking forward to have a look at my specimen again - I will post then.
Yours, Lothar
Yours, Lothar
Rubén Negrín,
10-03-2023 07:21
Re : Melittosporiella octomera as I think
Ok Jason, te avisaré cuando tenga material fresco.
Zotto, La fecha de recolecta fue el 15/04/14. Creo que el sustrato es L. novocanariensis (antes L. azorica) aunque en la zona de recolecta hay abundantes arboles de Laurisilva. La micro se hizo en agua y no se utilizó IKI.
Saludos
Rubén
Zotto, La fecha de recolecta fue el 15/04/14. Creo que el sustrato es L. novocanariensis (antes L. azorica) aunque en la zona de recolecta hay abundantes arboles de Laurisilva. La micro se hizo en agua y no se utilizó IKI.
Saludos
Rubén
Hans-Otto Baral,
10-03-2023 07:26
Re : Melittosporiella octomera as I think
Thanks, so it could perhaps also have been a tree other than Laurus? And your other collections, on which host did they grow?
Marc Detollenaere,
10-03-2023 10:12
Re : Melittosporiella octomera as I think
Hallo Zotto,
How do you see that the spores are dead?
Yours sincerely
Marc
How do you see that the spores are dead?
Yours sincerely
Marc
Hans-Otto Baral,
10-03-2023 11:11
Re : Melittosporiella octomera as I think
A question that I am being asked hunderds of times.... Best is if you read my paper from 1992 in Mycotaxon, before I explain you in detail.
My old homepage also gives you an idea on its front page:
Rubén Negrín,
10-03-2023 15:13
Re : Melittosporiella octomera as I think
Es muy probable pero no seguro que el sustrato sea L. novocanariensis. En unas semanas lo podré comprobar en el lugar.
SaludosRubén
SaludosRubén
Lothar Krieglsteiner,
11-03-2023 11:56
Re : Melittosporiella octomera as I think
Hello together,
today I once again rehydrated the specimen. and can show you some further pictures.
Fist: I examined 2 apothecia. The first one had only few living and a lot of dead spores also in the asci. The second one had more (about 1/3) living spores. My measures can be summarized as (27,5-)33-41/7-9,5 µm, the spores being quite variable in form.
For the ones who asked ybout the difference between living and dead spores: the living ones (neaaly all my fotos) have a very highly organized content of smaller guttules, whereas those agglutinate to one large drop showing the septa at deas spores (some in the last two spore fotos).
The orange color is reaching deep into the apothecia, as is seen in moist apothecia slighly damaged and also in the excipular lobes (last fotos).
I also examined the wood. I do not have a lot of experience with this. Can there be concluded enough?
What shoudd be done next with my specimen. I think it would be better if one of Rubens specimens will be the type and tried to culture?
Yours, Lothar
today I once again rehydrated the specimen. and can show you some further pictures.
Fist: I examined 2 apothecia. The first one had only few living and a lot of dead spores also in the asci. The second one had more (about 1/3) living spores. My measures can be summarized as (27,5-)33-41/7-9,5 µm, the spores being quite variable in form.
For the ones who asked ybout the difference between living and dead spores: the living ones (neaaly all my fotos) have a very highly organized content of smaller guttules, whereas those agglutinate to one large drop showing the septa at deas spores (some in the last two spore fotos).
The orange color is reaching deep into the apothecia, as is seen in moist apothecia slighly damaged and also in the excipular lobes (last fotos).
I also examined the wood. I do not have a lot of experience with this. Can there be concluded enough?
What shoudd be done next with my specimen. I think it would be better if one of Rubens specimens will be the type and tried to culture?
Yours, Lothar
Hans-Otto Baral,
11-03-2023 12:06
Re : Melittosporiella octomera as I think
Hi Lothar
well done! So there are also 4-celled mature spores.
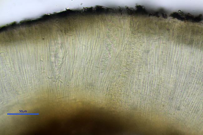
Could you give me a scale for the wood anatomy photos? Or say the diameter of the large pores?
Zotto
Lothar Krieglsteiner,
11-03-2023 12:13
Re : Melittosporiella octomera as I think
Hi Zotto,
the scale bar on the fotos is 10 µm (smaller because 40x). I just measured free-hand and find the large pores about 13-22 µm large.
Lothar
the scale bar on the fotos is 10 µm (smaller because 40x). I just measured free-hand and find the large pores about 13-22 µm large.
Lothar
Hans-Otto Baral,
11-03-2023 12:45
Re : Melittosporiella octomera as I think
Ah! I overlooked the bar but I could not read if it is 10 or 20 µm.
But: if it is 10 µm then the large pores measure around 50 µm!
Lothar Krieglsteiner,
11-03-2023 12:55
Re : Melittosporiella octomera as I think
"But: if it is 10 µm then the large pores measure around 50 µm!" ...
Oh shit, yes, I measured in 40x if it were 100x. Then "13-22" x 2,5 is 32,5-55. Around. 50, yes.
Oh shit, yes, I measured in 40x if it were 100x. Then "13-22" x 2,5 is 32,5-55. Around. 50, yes.
Hans-Otto Baral,
11-03-2023 16:37
Re : Melittosporiella octomera as I think
The wood anatomy perfectly fits Olea!
Lothar Krieglsteiner,
11-03-2023 16:45
Re : Melittosporiella octomera as I think
thank you very much - good this could be confirmed!
Jason Karakehian,
11-03-2023 17:01
Re : Melittosporiella octomera as I think
I can sequence from apothecia too. It's easiest from cultures, but there should be no problem from recently collected material. If anyone wants to send me samples that's great. I very much think that this is something in Ostropales.
















































